The second dive of the day was Asho’s Gap, which is famous for a giant shark cleaning station. It didn’t disappoint, as we saw about a dozen reef sharks swimming around. Again, visibility wasn’t amazing so the pictures didn’t turn out, but you can get a good idea. In addition, I saw more turtles, a very cool razorfish and a gigantic school of bannerfish.
Tag Archives: coral reef
Scuba Diving Ningaloo Reef: The Canyon
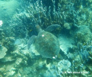
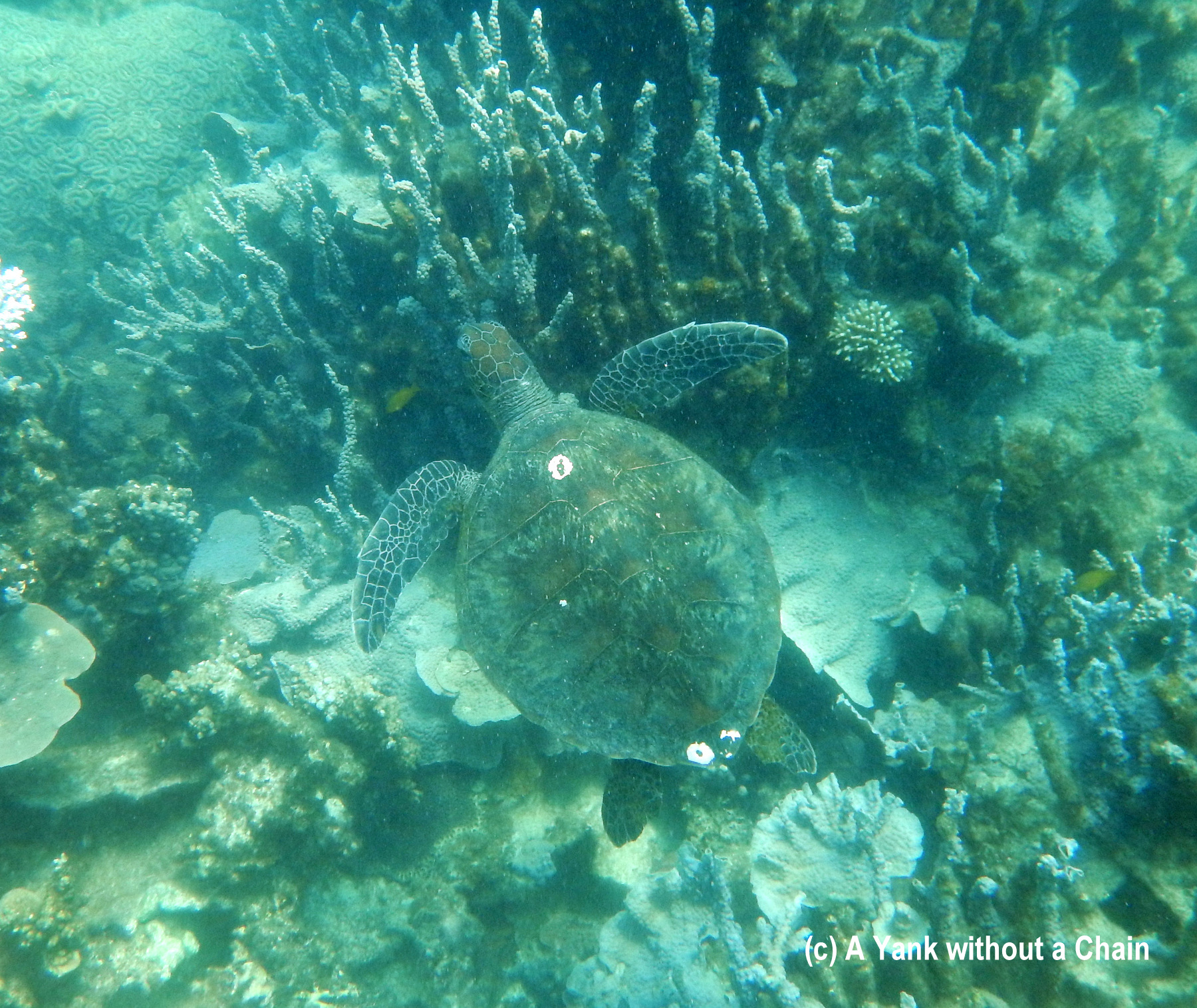
I did a one day dive trip with Ningaloo Reef Dive and got a bit closer to the spectacular west coast corals and sea creatures. The highlight was definitely the hard coral structures, but I also saw two turtles, a gorgeous trumpet fish and a nudibranch. Unfortunately the visibility was uncharacteristically low, at about 7 meters, so I didn’t get so many amazing shots. Here’s a sampling.
Diving on the Great Barrier Reef – Take Two on Taka!
I loved my Great Barrier Reef diving trip on Taka a couple of months ago so much I wanted to do it all over again, but alas, it’s obviously not cheap! In Cairns it’s relatively common for dive companies to offer “hostie” gigs – room, board, and a handful of dives in exchange for washing dishes and doing other odd jobs on the boat. I jumped at the chance to do it with Taka this past weekend so I could go back to the Ribbon Reefs.
It was much, much harder work than I’d expected and honestly I’m not quite sure it was worth it. If I’d taught English for the 25 hours I spent working on the boat, I would have made enough to pay for the trip outright and then enjoyed it a lot more (and spared my hands a couple of burns and cuts – those industrial dishwashing machines aren’t messing around!). However, it was definitely a different experience than anything I’ve done before and I’m glad I did it, if only so that I’ve gained a new appreciation for people who do that kind of work full time.
Now, on to the diving. I did 8 wonderful dives this time around but only brought my camera on half of them as I wanted to really focus on breathing and maximizing air efficiency. Of course, the dives where I saw sharks, a Maori wrasse, awesome eels, and stingrays I didn’t have the camera. Murphy’s law, I suppose. This batch of pictures comes from Steve’s Bommie and Clam Gardens.
Diving on the Great Barrier Reef: Taka Range
I’ve had these photos ready to post for weeks and have been so busy working I haven’t had a chance! These were taken at the Taka Range dive site on the northern end of the Great Barrier Reef. It had only been scouted a few weeks before my trip and visited by a handful of dive groups. The corals – both hard and soft – at this site are abundant and pristine. The colors are mostly soft pastels unlike what I’ve seen at other sites. There are also loads of nudibranchs and other small critters.
Diving on the Great Barrier Reef: Princess Bommie
Princess Bommie is a large circular dive site on the ribbon reefs. There are Minke Whales at the site during migration season (June/July) and lots of cod, staghorn coral, and reef sharks.




